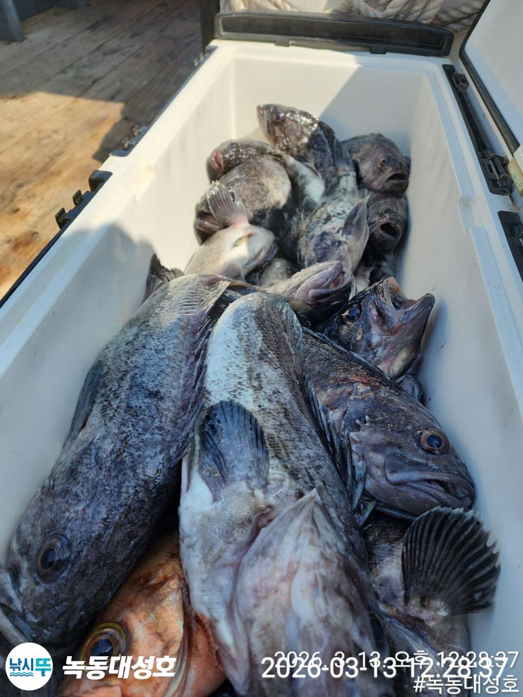
햐 ~ 오랫만 통쾌 시원한 큰 만선을 성공했습니다 ^^ 씨알 마릿수 어느것하나 나물곳없는 군더더기 하나없는 깨끗한 초대박 성공 ~!!
- 출조 날짜
- 2026년 03월 13일
- 출조 인원
- 18명
- 어종
- 우럭,열기
녹동 대성호
바다와 한 평생을 살아오신 갈치전문 베테랑 선주/선장님이 직접 운영하여 마인드가 다릅니다.
문의
010-9437-8600
전남 고흥군 도양읍 비봉로 198-21
♡ 함께하신 울 조사님 모두 모두 ~
먼길 , 고생 많으셨습니다
만선을 축하드립니다 ^^



















































































- 출조 장소
♡ 기상허락이 좋습니다 ~!
♡ 이번물때 횡재수 기쁨 연타입니다
♡ 함께 해 보십시요 / 멋진 동행
대성호 / 행운호
(장남) (차남)
** 010 9437 8600 **


