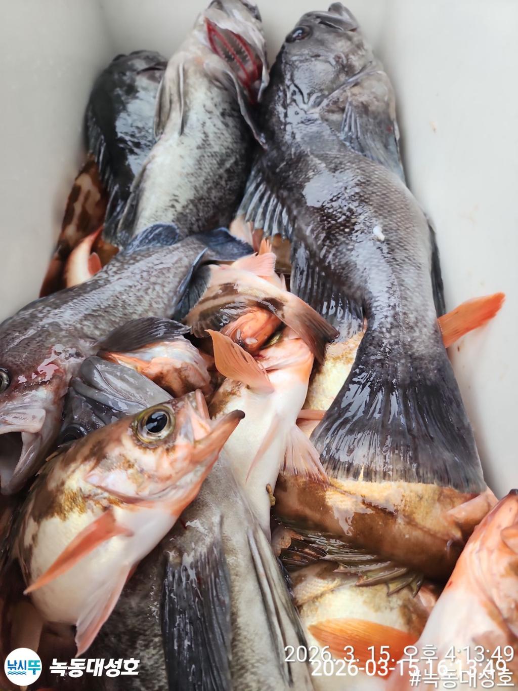
활발히 분주했던 날들이 흐린하늘에게 잠시 밀린듯한 하루입니다만 , 그래도 먹을꺼리 이쁜 기본조황은 담아 내셨네요 ^^
- 출조 날짜
- 2026년 03월 15일
- 출조 인원
- 20명
- 어종
- 우럭,열기
녹동 대성호
바다와 한 평생을 살아오신 갈치전문 베테랑 선주/선장님이 직접 운영하여 마인드가 다릅니다.
문의
010-9437-8600
전남 고흥군 도양읍 비봉로 198-21
♡ 함께하신 울조사님 모두 모두 ~
먼길 , 수고 많으셨습니다 ^^







































































- 출조 장소
♡ 기상허락 / 17일까지 이어드립니다
♡ 최상에 맛 , 돼지우럭 신발짝열기
담으러 갑시다 함께 ^^
대성호(장남) / 행운호(차남)
** 010 9437 8600 **


